GNiPP.6840.17.2024
Milicz, dnia 04.11.2025r.
OGŁOSZENIE O PRZETARGU
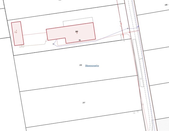
Na podstawie art. 38 i art. 40 ust.1 pkt 1 ustawy z dnia 21 sierpnia 1997r. o gospodarce nieruchomościami (tj. Dz. U. z 2024 r., poz. 1145 z poźn. zm.) oraz § 13 i § 14 rozporządzenia Rady Ministrów z dnia 14 września 2004r. w sprawie sposobu i trybu przeprowadzania przetargów oraz rokowań na zbycie nieruchomości (tj. Dz.U. z 2014 r. poz. 1490 ze zm.) Burmistrz Gminy Milicz ąącccogłasza I publiczny przetarg ustny nieograniczony na sprzedaż nieruchomości gruntowej niezabudowanej położonej w Sławoszowicach, stanowiącej własność Gminy Milicz, księga wieczysta nr WR1M/00029975/6, oznaczonej w katastrze nieruchomości jako działka 206 o powierzchni ogólnej 0,5039 ha obręb Sławoszowice.
cena wywoławcza – 416 000,00 zł + 23% podatku VAT
wadium – 50 000 zł
O wysokości postąpienia decydują uczestnicy przetargu, z tym że postąpienie nie może wynosić mniej niż 1% ceny wywoławczej, z zaokrągleniem w górę do pełnych dziesiątek zł.
Zgodnie z miejscowym planem zagospodarowania przestrzennego terenu „A” położonego w obrębach: Sławoszowice, Duchowo, Ruda Milicka, Niesułowice, Wałkowa w gminie Milicz uchwalony uchwałą Rady Miejskiej w Miliczu Nr XXV/123/08 z dnia 10 lipca 2008 r.; Działka oznaczona symbolem: 49UP – tereny zabudowy usługowo-produkcyjnej; Działka leży w granicach: parku krajobrazowego „Dolina Baryczy”, obszaru specjalnej ochrony ptaków „Dolina Baryczy” Natura 2000 (kod obszaru PLB 20001), obszaru ochrony Głównego Zbiornika Wód Podziemnych Nr 303 (GZWP) „Pradolina Barycz-Głogów (E)”.
Działka niezabudowana, w kształcie prostokąta, z dostępem poprzez drogę o nawierzchni powierzchniowo utwardzonej, położona w preferencyjnej części wsi Sławoszowice. Nieruchomość użytkowana wcześniej jako grunt rolny. W pasie drogi sieć wodociągowa. Działka w bezpośrednim sąsiedztwie napowietrznej sieci energetycznej SN. Od strony zachodniej w granicach nieruchomości wbudowana sieć energetyczna. W przypadku ewentualnych kolizji projektowych nabywca przeniesie linię na własny koszt, po dokonaniu przewidzianych prawem uzgodnień i uzyskaniu pozwoleń. Sprzedaż następuje na podstawie danych z katastru nieruchomości. Nabywca przejmuje nieruchomość w stanie istniejącym. Nieruchomość wolna od obciążeń.
Przetarg odbędzie się 10 grudnia 2025 r. o godz. 10.00 w Sali numer 45 Urzędu Miejskiego w Miliczu ul. Trzebnicka 2.
Warunkiem przystąpienia do przetargu jest wpłacenie wadium w pieniądzu (z podaniem numeru działki) przelewem na konto Urzędu Miejskiego w Miliczu w Banku Spółdzielczym w Miliczu nr konta 72 9582 0000 2000 0000 0358 0004 do dnia 05.12.2025 r. Za datę wniesienia wadium uważa się datę wpływu środków pieniężnych na konto Urzędu Miejskiego w Miliczu.
Uczestnicy przetargu zobowiązani są posiadać dokument stwierdzający tożsamość, potwierdzenie wpłacenia wadium, a firmy i spółki dodatkowo aktualny odpis z KRS-u lub zaświadczenie o prowadzeniu działalności gospodarczej. Uczestnicy biorą udział w przetargu osobiście lub przez pełnomocnika (pełnomocnictwo notarialne).
Wadium zwraca się niezwłocznie po odwołaniu lub zamknięciu przetargu. Wadium wpłacone przez osobę, która wygra przetarg zaliczone zostanie na poczet ceny nabycia. Jeżeli osoba ustalona jako nabywca nie stawi się bez usprawiedliwienia w ustalonym przez organizatora przetargu miejscu i w terminie zawarcia umowy, organizator przetargu może odstąpić od zawarcia umowy, wpłacone wadium nie podlega zwrotowi a przetarg czyni niebyłym. Cena osiągnięta w przetargu wraz z podatkiem VAT, stanowi cenę nabycia, płatną jednorazowo nie później niż do dnia zawarcia umowy notarialnej. Termin i miejsce zawarcia umowy sprzedaży (podpisanie aktu notarialnego) będą ustalone przez organizatora przetargu, po zakończeniu przetargu, nie później niż 21 dni licząc od daty przetargu.
Cudzoziemcy (w rozumieniu ustawy z dnia 24 marca 1920 r. o nabywaniu nieruchomości przez cudzoziemców – tj. Dz. U. z 2017 r., poz. 2278) w przypadku wygrania przetargu zobowiązani są przed zawarciem umowy notarialnej uzyskać zgodę Ministra Spraw Wewnętrznych na nabycie nieruchomości w przypadkach, gdy zgoda ta jest wymagana. Przetarg może być odwołany lub unieważniony jedynie z ważnych powodów.
Nabywca ponosi koszty opłat notarialnych i sądowych.
Ogłoszenie o przetargu zostaje zamieszczone na tablicy ogłoszeń w siedzibie tut. urzędu, na stronach internetowych www.bip.milicz.pl i www.milicz.pl, Natomiast wyciąg z ogłoszenia o przetargu zostaje zamieszczony w prasie lokalnej oraz w prasie codziennej ogólnokrajowej. Dodatkowe informacje można uzyskać w pokoju nr 45 Urzędu Miejskiego w Miliczu, ul. Trzebnicka 2, tel. 71 3804303 w godzinach 8.00-15.00.
Działka podlegająca sprzedaży zaznaczona na żółto.






Sporządziła:
Anna Macherzyńska, tel. 713804303.

